Novo recurso do Windows 11 compartilha som entre dois fones Bluetooth
A Microsoft iniciou testes de um novo recurso de áudio compartilhado no Windows 11, permitindo que usuários transmitam som simultaneamente […]
A Microsoft iniciou testes de um novo recurso de áudio compartilhado no Windows 11, permitindo que usuários transmitam som simultaneamente […]
O mercado de carros elétricos segue aquecido no Brasil. O aumento nas vendas dos modelos, no entanto, não significa que
A Agência Nacional de Energia Elétrica (Aneel) informou nesta semana que a bandeira vermelha patamar 1 será mantida no mês de
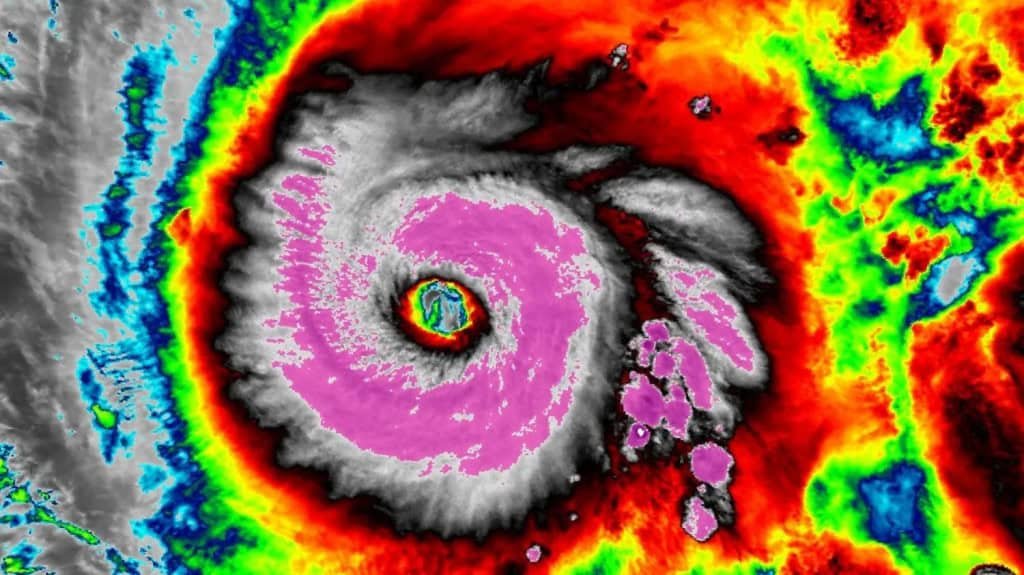
]Um novo relatĂłrio de um grupo de cientistas lĂderes alerta que a humanidade está se dirigindo para um caos climático
A principal aposta das grandes empresas globais é na inteligência artificial. A promessa é que a ferramenta torne as operações
Quem passa horas jogando sabe: um bom headset faz a diferença e permite ouvir cada detalhe da partida. Esses acessórios,