Nvidia revela como IA e computadores quânticos vão trabalhar juntos
A Nvidia anunciou, nesta terça-feira (28), um novo produto que une a supercomputação em inteligĂŞncia artificial (IA) com o poder […]
A Nvidia anunciou, nesta terça-feira (28), um novo produto que une a supercomputação em inteligĂŞncia artificial (IA) com o poder […]
Desde a pandemia, Zoom e Teams viraram ferramentas essenciais – mas um novo estudo revela um risco invisĂvel: invasores podem
A Uber vai conduzir um projeto-piloto no Brasil de recursos que visam proteger as mulheres. Na prática, as passageiras poderão
O site de tecnologia americano TechCrunch está promovendo o Startup Battlefield, uma competição de startups com propostas inovadoras e competitivas
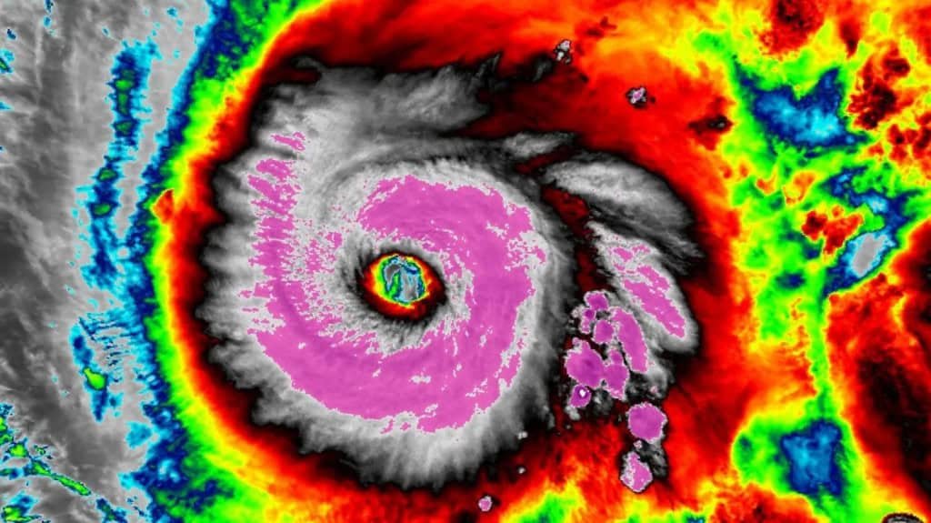
Na última segunda-feira (27) uma aeronave do 53º Esquadrão de Reconhecimento Meteorológico da Força Aérea dos EUA realizou uma missão
Nesta terça-feira (28), a polĂcia do Rio de Janeiro (RJ) deflagrou uma megaoperação para prender 100 pessoas em dois complexos