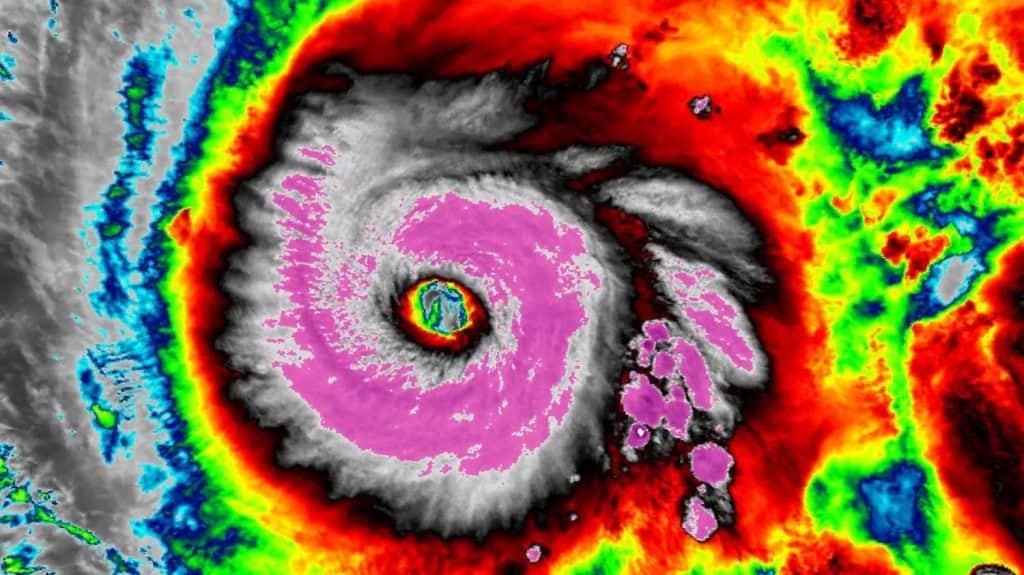
Furacão Melissa atinge a Jamaica com categoria 5 e já é um dos “mais fortes da história”
Nesta terça-feira (28), o furacĂŁo Melissa atingiu a Jamaica. Na categoria 5, a tempestade já Ă© considerada uma das “mais […]
Nesta terça-feira (28), o furacĂŁo Melissa atingiu a Jamaica. Na categoria 5, a tempestade já Ă© considerada uma das “mais […]
A OpenAI finalizou a conversĂŁo de sua subsidiária para uma corporação de benefĂcio pĂşblico, encerrando um perĂodo de negociações e
TrĂŞs planetas do tamanho da Terra foram encontrados orbitando duas estrelas pequenas e frias a cerca de 190 anos-luz daqui.
A Apple ultrapassou a marca dos US$ 4 trilhões em valor de mercado pela primeira vez em sua história nesta
A Positivo Tecnologia anunciou o lançamento do notebook Vision i15M, novo modelo da linha Vision. O dispositivo chega ao mercado
Ter espaço de sobra para guardar fotos, vĂdeos, documentos e outros arquivos pode ser um alĂvio — especialmente quando o